Chuyên mục
Siêu bão mạnh nhất Đại Tây Dương càn quét Caribe, 7 người chết
BÌNH LUẬN
Chưa có bình luận nào cho bài viết này.

Siêu bão mạnh nhất Đại Tây Dương càn quét Caribe, 7 người chết

Thứ năm 07/09/2017 04:10 GMT + 7
Cơn bão cấp 5 Irma gây ngập lụt và "thiệt hại lớn", phá hủy nhà cửa ở vùng Caribe và khiến ít nhất 7 người thiệt mạng. Bão đang tiếp tục hướng đến Puerto Rico, Cuba và Haiti.

 
Sức mạnh hủy diệt của bão cấp độ 5 Với sức gió lớn hơn 250 km/h, bão cấp độ 5 có sức hủy diệt kinh hoàng và có thể thổi bay hầu hết nhà cửa trong khu vực ảnh hưởng.

Irma, siêu bão mạnh nhất từ từng được ghi nhận trên Đại Tây Dương, khu vực ngoài vùng Caribe và Vịnh Mexico, ngày 6/9 đổ bộ tại các hòn đảo phía bắc Caribe. AFP dẫn lời Bộ trưởng Lãnh thổ hải ngoại Pháp Annick Girardin cho hay Irma đã gây ra "thiệt hại lớn" sau khi đi qua các đảo thuộc Pháp. Ảnh: Reuters.

Chính phủ Pháp xác nhận ít nhất 6 người đã thiệt mạng và 2 người khác bị thương nghiêm trọng khi gió mạnh và mưa lớn ập vào các đảo St Martin và St Barthelemy. Cơn bão đã "làm tốc mái" nhiều ngôi nhà, gây ra ngập úng và cắt đứt liên lạc giữa Paris với hai hòn đảo này. Sức gió khi bão đi qua đây vào khoảng 244 km/h. Ảnh: Reuters.

Cơ quan thời tiết Pháp cho biết bão đã làm ngã đổ thiết bị quan trắc trên đảo Saint Barthelemy, điểm đến ưa thích của những người yêu du lịch. Trong khi đó theo Bộ Nội vụ Pháp, trụ sở một số cơ quan chính quyền trên đảo Saint Martin, vốn là những công trình kiên cố nhất ở đây, đã bị "phá hủy toàn bộ hoặc một phần". Ảnh: Reuters.

Trước đó, bão Irma đã đi qua đảo quốc Antigua và Barbuda, làm tốc mái đồn cảnh sát đảo Barbuda, cắt đứt liên lạc giữa các hòn đảo. Ít nhất 1 người trên đảo Barbuda thiệt mạng. Guardian dẫn thông tin từ giới chức địa phương cho biết hơn 90% các công trình của Barbuda bị cơn bão phá hủy. Ảnh: Reuters.

Cảnh tan hoang ở đảo St Martin sau khi bão Irma đổ bộ. Tổng thống Pháp Emmanuel Macron cảnh báo số thương vong sẽ rất lớn, cho biết hai hòn đảo St Martin và St Barthelemy đã chịu thiệt hại "đáng kể" khi bão quét qua đây. Ảnh: Twitter.

St Martin nhanh chóng rơi vào tình trạng ngập lụt nặng nề do mưa lớn từ bão Irma. Bão đang di chuyển về phía tây - tây bắc, trên đường tới Puerto Rico, Cộng hòa Dominican, Haiti và Cuba trước khi có khả năng đổ bộ Florida vào cuối tuần. Ảnh: Meteos.

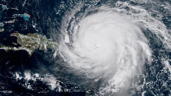
Ảnh vệ tinh chụp bão Irma hôm 6/9 được công bố bởi Cơ quan Kiểm soát Đại dương và Khí tượng Mỹ (NOAA) cho thấy bão Irma đang di chuyển hướng tới Puerto Rico. Irma là bão cấp 5 theo thang bão Saffir-Simpson, một mô hình báo bão được sử dụng phổ biến nhằm đo lường thiệt hại tiềm năng mà gió bão gây ra cho các tài sản của con người. Ảnh: Reuters.

Cấp 5 "cực kỳ nguy hiểm" và là cấp cao nhất trong thang cảnh báo bão Đại Tây Dương. Theo dự báo, bão Irma sẽ gây ra những cơn sóng cao đến 3,5 m, mưa rất lớn và ngập lụt nặng tại những nơi nằm trong vùng ảnh hưởng của hoàn lưu bão. Florida ngày 4/9 đã ban bố tình trạng khẩn cấp trong khi người dân bắt đầu tích trữ nhu yếu phẩm. Trong ảnh, người dân ở Miami, Florida gấp rút chuẩn bị đón bão. Ảnh: Reuters.

Siêu bão Irma tàn phá 90% công trình ở đảo thiên đường Barbuda Ngày 6/9, siêu bão Irma đổ bộ các hòn đảo phía bắc Caribe và ngay lập tức cho thấy sức tàn phá kinh hoàng, khiến ít nhất 7 người thiệt mạng và phá hủy nhiều công trình kiên cố.

Cảnh tượng siêu bão Irma càn quét Caribe nhìn từ vũ trụ Ở cấp 5, tức là cấp độ cao nhất, siêu bão Irma đang càn quét một số quốc gia Caribe và có thể sẽ ập vào bang Florida của Mỹ cuối tuần này.

Ngụy An
Nguồn: zing.vn
31 bạn đọc
Đánh giá tốt
Chuyên mục liên quan
X
Bình luận của bạn:

СМИ сетевое издание «Baonga.com» зарегистрировано в Федеральной службе по надзору в сфере связи, информационных технологий и массовых коммуникаций. Регистрационный номер средства массовой информации Эл № ФС77-73891 от 29 октября 2018 г. Учредитель Ха Вьет Лонг, номер телефона: +7(905) 238 89 99. Главный редактор: Чан Тхи Тху Ха: Адрес электронной почты: info@baonga.com; Номер телефона: +7(960) 222 19 99. Настоящий ресурс содержит материалы 16+. Использование информации с данного веб-сайта возможно исключительно на следующих условиях: В конце текста необходимо указывать ссылку на сайт https://baonga.com. Текст должен копироваться в первоначальном виде. Не допускается удаление ссылки на данный веб-сайт из текстов материалов. Реклама: Rus +7(926) 282 29 86 (Viber, Whatsapp, Zalo); Вьетнам +84.979.137.386.