Chuyên mục
Siêu bão Sinlaku đổi hướng, liệu có vào Biển Đông?

Siêu bão Sinlaku đổi hướng, liệu có vào Biển Đông?

Thứ hai 13/04/2026 05:16 GMT + 7
Cơ quan khí tượng đưa ra nhận định về đường đi của siêu bão Sinlaku, đồng thời dự báo xác suất siêu bão đi vào Biển Đông.

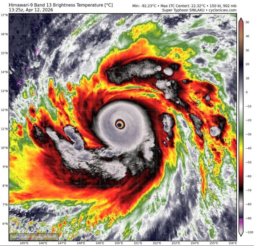
Sinlaku đã mạnh cấp siêu bão với cường độ cấp 16, giật trên cấp 17 vào tối qua (12/4). Đây là cơn bão thứ 4 hoạt động trên khu vực Tây Bắc Thái Bình Dương và là siêu bão đầu tiên hoạt động trên khu vực này trong mùa bão lũ năm nay. Sinlaku cũng là một trong số rất ít cơn siêu bão xuất hiện ngay trong tháng 4.

Sau khi mạnh lên thành siêu bão, siêu bão Sinlaku sẽ đổi hướng di chuyển lên phía Bắc, sau đó nhiều khả năng tiếp tục đổi hướng một lần nữa thành hướng Bắc Đông Bắc vào khoảng ngày 16-17/4 và di chuyển tới vùng biển phía Đông của Nhật Bản, cường độ sẽ giảm cấp dần.

 


Sinlaku là một trong số rất ít cơn siêu bão xuất hiện ngay trong tháng 4. (Nguồn: NCHMF)


Hiện tại, các dự báo bão đều cho thấy bão không có khả năng đi vào khu vực Biển Đông. Trung tâm Dự báo khí tượng thủy văn vẫn đang theo dõi sát diễn biến của siêu bão đầu mùa này.

Trung tâm Dự báo khí tượng thủy văn quốc gia nhận định, đây là cơn bão đầu tiên trong năm 2026 đạt cường độ này, đồng thời là lần đầu xuất hiện trong tháng 4 kể từ bão Surigae (2021) và chỉ là lần thứ ba kể từ năm 1977.

Sinlaku cũng là cơn bão mạnh nhất thế giới trong năm 2026 (tính đến thời điểm hiện tại), vượt qua bão Maila ở khu vực Úc.

Theo dự báo của cơ quan khí tượng, từ tháng 4-6, bão hoặc áp thấp nhiệt đới hoạt động trên khu vực Biển Đông và ảnh hưởng trực tiếp đến đất liền tương đương trung bình nhiều năm (trung bình nhiều năm trên Biển Đông 1,8 cơn, đổ bộ vào đất liền 0,3 cơn).

Trong 3 tháng tiếp theo (tháng 7-9), hoạt động của bão hoặc áp thấp nhiệt đới trên Biển Đông và đổ bộ vào đất liền nước ta cũng ở mức tương đương trung bình nhiều năm với 6,5 cơn trên Biển Đông, đổ bộ vào đất liền 2,9 cơn.

Các đợt mưa vừa, mưa to có khả năng xuất hiện ở Bắc Bộ, Bắc Trung Bộ, cao nguyên Trung Bộ và Nam Bộ trong thời kỳ dự báo, nguy cơ gia tăng các hiện tượng thời tiết cực đoan như dông, lốc, sét, mưa đá và gió giật mạnh trên cả nước.


Huệ Nguyễn

Nguồn: vtcnews.vn
0 bạn đọc
Đánh giá tốt
Chuyên mục liên quan
X
Bình luận của bạn:

СМИ сетевое издание «Baonga.com» зарегистрировано в Федеральной службе по надзору в сфере связи, информационных технологий и массовых коммуникаций. Регистрационный номер средства массовой информации Эл № ФС77-73891 от 29 октября 2018 г. Учредитель Ха Вьет Лонг, номер телефона: +7(905) 238 89 99. Главный редактор: Чан Тхи Тху Ха: Адрес электронной почты: info@baonga.com; Номер телефона: +7(960) 222 19 99. Настоящий ресурс содержит материалы 16+. Использование информации с данного веб-сайта возможно исключительно на следующих условиях: В конце текста необходимо указывать ссылку на сайт https://baonga.com. Текст должен копироваться в первоначальном виде. Не допускается удаление ссылки на данный веб-сайт из текстов материалов. Реклама: Rus +7(926) 282 29 86 (Viber, Whatsapp, Zalo); Вьетнам +84.979.137.386.