Chuyên mục
Cơn bão “mạnh nhất trong nhiều thập kỷ” sắp đổ bộ Nhật Bản
BÌNH LUẬN
Chưa có bình luận nào cho bài viết này.

Cơn bão “mạnh nhất trong nhiều thập kỷ” sắp đổ bộ Nhật Bản

Thứ hai 07/07/2014 15:40 GMT + 7
Cơ quan khí tượng Nhật Bản (JMA) nhận định Neoguri sẽ trở thành cơn bão siêu mạnh khi chính thức đổ bộ vào đảo Kyushu trong ngày mai.

 

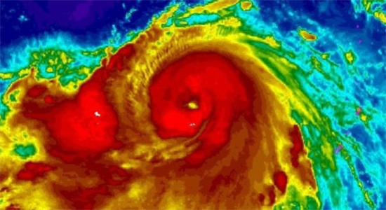
Siêu bão được mô tả là “mạnh nhất trong nhiều thập kỷ” đang hướng đến phía Bắc của Nhật Bản. Cơn bão này được dự đoán sẽ quét qua đảo Okinawa  với mưa lớn và gió giật mạnh cho đảo trước khi đổ bộ vào Kyushu – hòn đảo nằm ở phía Tây Nam và là một trong 4 đảo chính của Nhật Bản. 

Có tên gọi Neoguri, siêu bão đang có sức gió 250km/giờ và sẽ mạnh lên khi di chuyển về phía Bắc. Cơ quan khí tượng Nhật Bản (JMA) nhận định Neoguri sẽ trở thành cơn bão siêu mạnh khi chính thức đổ bộ trong ngày mai. JMA cho biết cơn bão đang ở phía Nam Okinawa nhưng đang di chuyển về hướng Tây Bắc với tốc độ 20km/giờ. Cơ quan này cũng đưa ra cảnh báo sóng lớn và mưa to.

Dẫu vậy, Neoguri không thể mạnh bằng Haiyan – siêu bão đã khiến hàng nghìn người Philippines thiệt mạng hồi năm ngoái.

Ở Okinawa không có nhà máy điện hạt nhân nào. Tuy nhiên, có hai nhà máy ở Kyushu và một nhà máy ở đảo Shikoku – đảo gần với Kyushu – và có thể bị ảnh hưởng. 

Nhà máy Fukushima Daiichi, vốn đã bị ảnh hưởng nặng nề bởi động đất và sóng thần năm 2011, nằm ở phía còn lại của Nhật Bản và được dự báo sẽ gặp mưa trong trường hợp xấu nhất. 

Mỗi năm Nhật Bản có khoảng 2 đến 4 cơn bão nhưng chúng thường không xảy ra vào tháng 7.

Nguồn: cafef.vn
31 bạn đọc
Đánh giá tốt
Chuyên mục liên quan

X
Bình luận của bạn:

СМИ сетевое издание «Baonga.com» зарегистрировано в Федеральной службе по надзору в сфере связи, информационных технологий и массовых коммуникаций. Регистрационный номер средства массовой информации Эл № ФС77-73891 от 29 октября 2018 г. Учредитель Ха Вьет Лонг, номер телефона: +7(905) 238 89 99. Главный редактор: Чан Тхи Тху Ха: Адрес электронной почты: info@baonga.com; Номер телефона: +7(960) 222 19 99. Настоящий ресурс содержит материалы 16+. Использование информации с данного веб-сайта возможно исключительно на следующих условиях: В конце текста необходимо указывать ссылку на сайт https://baonga.com. Текст должен копироваться в первоначальном виде. Не допускается удаление ссылки на данный веб-сайт из текстов материалов. Реклама: Rus +7(926) 282 29 86 (Viber, Whatsapp, Zalo); Вьетнам +84.979.137.386.